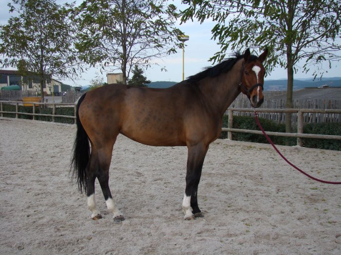
Leika du Chalet
| Vendu | |
|---|---|
| Race | warmblood suisse |
| Sexe | jument |
| Niveau sportif | parcours (d'obstacles) - 1,30m |
| Caractéristiques du cheval | Chevaux sportifs |
| Gamme de prix | Vendu |
| Couleur | bai |
| hauteur | 170 |
| Discipline convenable, approprié | sauts d´obstacles, dressage, élevage |
| Année | 2001 |
Landor S
Fuerstin v. Tannenhof
Landadel
Fureida 2
Feiner Stern
Lambada
FR
CS
EN
DE
ES
RU
IT



























